Land
Land
📍 Downtown Oxford Location
🛣️ 100Ft Paved Rd Frontage
🏢 Zoned Neighborhood Business
💧 City Water/Sewer
⚡ Electric Connected In Past
🚗 Great Drive-By Traffic
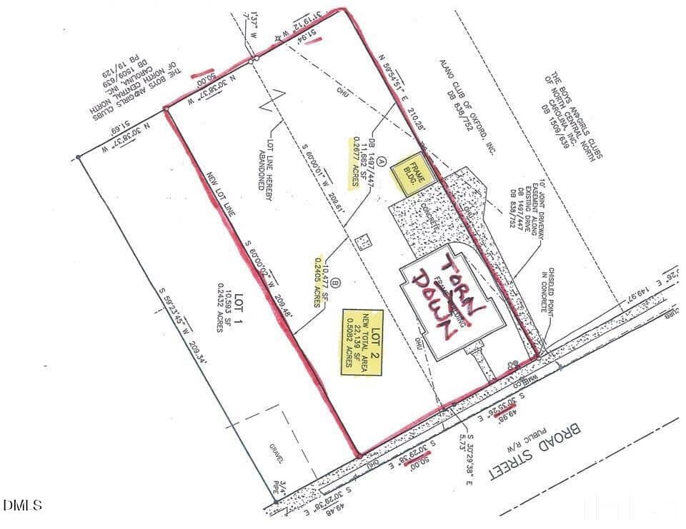
TWO Totally Cleared Commercial lots side by side, zoned Neighborhood Business . Can be SOLD as one recombined lot for $100 k or SOLD Separately : Lot with large SHED for $52 K and Lot with NO structure for $50 K. Good location in downtown Oxford with great drive- by traffic, and near Home Care business, convenient store, & in front of BOYS and GIRLS Club. 2 Parcels (.2677 AC + SHED & .2405 AC w/ No structure .).. Recombined as ‘LOT 2′ w/ total .5082 AC & Almost 100Ft PAVED Rd Frontage & 210′ Deep Lot! City Water/Sewer, Electric were connected in past to former Home which is now torn down! Buried SEWER GRAVITY line/ storm drain PIPE in between the 2 Lots! Can NOT build over Gravity line pipe has 10′ set back from each side of line Sewer Manhole in middle. Turquoise colored line in Picture shows location of Sewer Line . 10’ Joint Driveway Easement (on right hand side of lot by white house where shrubs have been planted).
ZONED HB: some permitted uses are Residential Care Facilities, Heavy Equipment Rental/sales, minor Vehicle Repair, Business support services, Outdoor sales & displays, Medical Clinic,, Restaurant, Child Care, Studio/ Art, Dance, drive-thru facility, Nursey. $100,000 for BOTH LOTS or $52 K & $50 K sold separately. See picture & Docs for complete list of permitted uses. and Set- Back requirements. NO OWNER FINANCING
TWO Totally Cleared Commercial lots side by side, zoned Neighborhood Business . Can be SOLD as one recombined lot for $100 k or SOLD Separately : Lot with large SHED for $52 K and Lot with NO structure for $50 K. Good location in downtown Oxford with great drive- by traffic, and near Home Care business, convenient store, & in front of BOYS and GIRLS Club. 2 Parcels (.2677 AC + SHED & .2405 AC w/ No structure .).. Recombined as ‘LOT 2′ w/ total .5082 AC & Almost 100Ft PAVED Rd Frontage & 210′ Deep Lot! City Water/Sewer, Electric were connected in past to former Home which is now torn down! Buried SEWER GRAVITY line/ storm drain PIPE in between the 2 Lots! Can NOT build over Gravity line pipe has 10′ set back from each side of line Sewer Manhole in middle. Turquoise colored line in Picture shows location of Sewer Line . 10’ Joint Driveway Easement (on right hand side of lot by white house where shrubs have been planted). ZONED HB: some permitted uses are Residential Care Facilities, Heavy Equipment Rental/sales, minor Vehicle Repair, Business support services, Outdoor sales & displays, Medical Clinic,, Restaurant, Child Care, Studio/ Art, Dance, drive-thru facility, Nursey. $100,000 for BOTH LOTS or $52 K & $50 K sold separately. See picture & Docs for complete list of permitted uses. and Set- Back requirements. NO OWNER FINANCING
Date
Status
Price
2026-01-13
Active
$100,000
2026-04-23
Under Contract
$100,000
Documents Source: Doorify MLS IDX Feed
Examining another house that is similar, nearby, and recently sold can help determine if the price of this home for sale is priced appropriately.


This level of clarity is how we work with every buyer and seller.
When you partner with Second Story Realty, you get a team that studies the market deeply, explains the “why” behind the numbers, and guides you with transparency at every step.
You can contact us to talk strategy, ask questions, or schedule a showing, we will help you take the next step with confidence.

Brokers make an effort to deliver accurate information, but buyers should independently verify any information on which they will rely in a transaction. The listing broker shall not be responsible for any typographical errors, misinformation, or misprints, and they shall be held totally harmless from any damages arising from reliance upon this data. This data is provided exclusively for consumers’ personal, non-commercial use.
Listings marked with an icon are provided courtesy of the Doorify MLS, Inc. of North Carolina, Internet Data Exchange Database.
Copyright 2025 Doorify MLS, Inc. of North Carolina. All rights reserved.
Closed (sold) listings may have been listed and/or sold by a real estate firm other than the firm(s) featured on this website. Closed data is not available until the sale of the property is recorded in the MLS. Home sale data is not an appraisal, CMA, competitive or comparative market analysis, or home valuation of any property.

209 Broad Street
Oxford, NC 27565
209 Broad Street
Oxford, NC 27565
$100,000
$100,000
Not in a Subdivision – Oxford Township – Granville County

209 Broad St
Oxford
br
sqft
$100,000
TWP Oxford
CTY Granville
SUB Not in a Subdivision